ម៉ឺនុយ ម៉ឺនុយ
បិទ

ស្វែងរកតាមលេខយោង

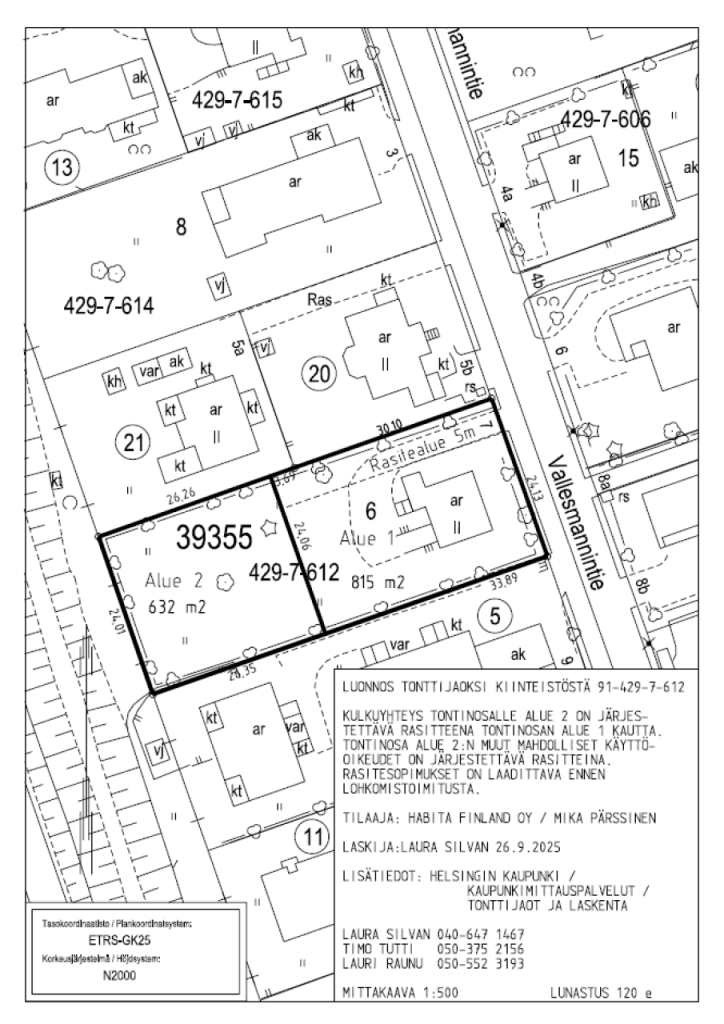
ដី, Vallesmannintie 7

00740 Helsinki, Töyrynummi

សូមទាក់ទងតំណាងផ្នែកលក់សម្រាប់ព័ត៌មានលម្អិតបន្ថែមអំពីអចលនទ្រព្យនេះ។

ផ្ទះបើក៖ 12 តុលា 2025
15:00 – 15:40

Mika Pärssinen

English Finnish
នាយក​គ្រប់គ្រង
Habita Finland
គុណវុឌ្ឍិអចលនទ្រព្យហ្វាំងឡង់, KHK , AKA

ព័ត៌មានលម្អិតជាច្រើន

លេខចុះបញ្ជី 669291
តម្លៃលក់ 149.000€ (693.677.483៛)
កន្លែងនៅទំនេរពី តាមកិច្ចសន្យា
លេខយោងអចលនទ្រព្យ 91-429-7-612
ផ្ទៃក្រឡាដី 632 m²
ដី ផ្ទះល្វែង
ផ្លូវ គ្មាន
កម្មសិទ្ធិដីធ្លី ផ្ទាល់ខ្លួន
ស្ថានភាពផែនការ ប្លង់លម្អិត
សិទ្ធិសាងសង់ 125 m²

ថ្លៃសេវាប្រចាំខែ

ពន្ធ​លើ​អចលនទ្រព្យ 400 € / ឆ្នាំ (1.862.221,43 ៛) (ការប៉ាន់ស្មាន)

ការចំណាយលើការទិញ

ពន្ធផ្ទេរ 3 %

នេះជារបៀបដែលការទិញអចលនទ្រព្យរបស់អ្នកចាប់ផ្តើម

  1. បំពេញទម្រង់ខ្លីៗ ហើយយើងនឹងរៀបចំការប្រជុំ
  2. តំណាងរបស់យើងនឹងទាក់ទងអ្នកដោយមិនបង្អង់យូរ ហើយរៀបចំការប្រជុំ។

តើអ្នកចង់ដឹងបន្ថែមអំពីអចលនទ្រព្យនេះទេ?

កំហុសបានកើតឡើងខណៈពេលព្យាយាមផ្ញើសំណើទំនាក់ទំនង។ សូម​ព្យាយាម​ម្តង​ទៀត។

កំពុងផ្ទុក

សូមអរគុណចំពោះការស្នើសុំទំនាក់ទំនងរបស់អ្នក។ យើងនឹងទាក់ទងអ្នកភ្លាមៗ!